cht植物&園藝
adm Find login register

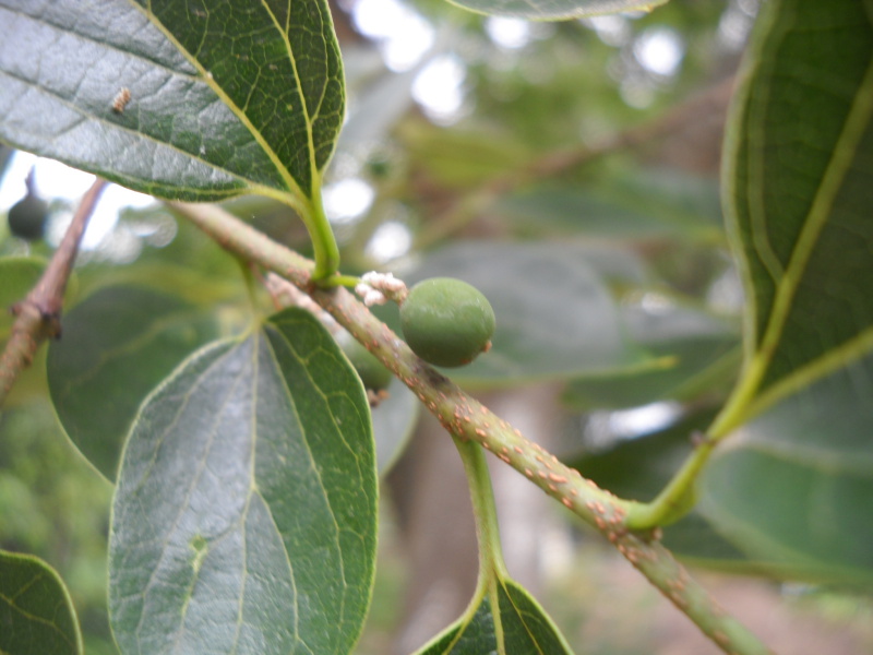
朴樹的果實

eliu

joined: 2007-08-09
posted: 11518
promoted: 617
bookmarked: 187
新竹, 台灣
1subject: 朴樹的果實Promote 0 Bookmark 02012-04-23quote  

學名:Celtis sinensis or Celtis formosana Hayata
英文名稱:Chinese Hackberry
朴樹在台灣是很普遍的植物,小時候的空氣槍的子彈就是用朴樹的果實或弄溼的衛生紙。

用內徑約3-4mm 的觀音竹竹筒,找到可插入內徑的細竹子,有點緊但不要太緊,另外一端需要一個方便發射的把手。把朴樹的果實塞入洞口,然後撞擊地面把朴樹子打進內徑中,壓碎沒關係,插入細竹子往前推一段距離,然後慢慢往回拉一段距離,此時空氣會進入細竹子 & 朴樹子之間,形成空氣柱。然後快速用力把細竹子用力往前推,此時擠壓的高壓空氣會把朴樹子高速射出,而且會有爆裂聲,射到人很痛。

朴樹的果實

edited: 9
coolcd
joined: 2008-01-21
posted: 2601
promoted: 348
bookmarked: 95
2subject: Promote 0 Bookmark 02012-04-23quote  

在都市好像不常見

印象中看沒幾次

eliu

joined: 2007-08-09
posted: 11518
promoted: 617
bookmarked: 187
新竹, 台灣
3subject: Promote 0 Bookmark 02012-04-23quote  

新竹縣新豐鄉的紅樹林附近的海邊很多朴樹。

edited: 1

cht植物&園藝
adm Find login register
views:12502